28/10/2025 - 9:24
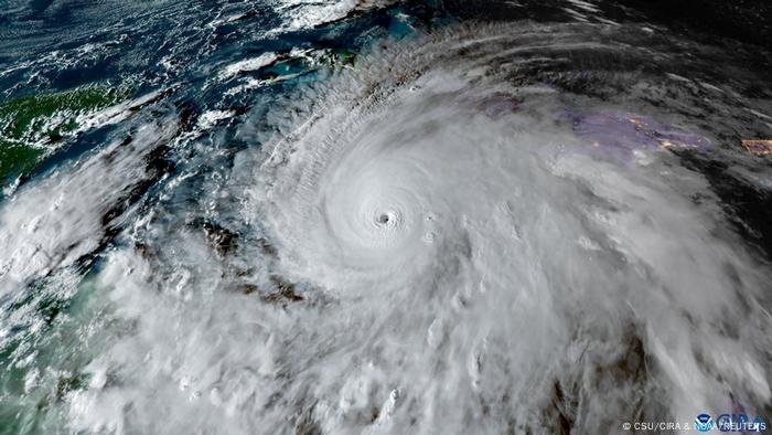
País organizou 800 abrigos e prevê que deslizamentos e enchentes atinjam 1,5 milhão de pessoas. Furacão de categoria 5, a mais alta na escala Saffir-Simpson, é o mais forte a atingir a ilha em 174 anos.A Jamaica se prepara nesta terça-feira (28/10) para a chegada do furacão Melissa, cujos ventos ultrapassam 280 quilômetros por hora o classificam como a “tempestade do século”, segundo a Organização Meteorológica Mundial (OMM).
A expectativa é que o furacão de categoria 5, o mais forte da escala Saffir-Simpson, provoque enchentes repentinas e deslizamentos de terra na ilha do Caribe. Segundo a Federação Internacional da Cruz Vermelha (IFRC), até 1,5 milhão de pessoas podem ser diretamente afetadas pela tempestade. Este é o furacão mais forte a atingir a ilha desde o início dos registros, há 174 anos.
Ventos fortes e inúmeras quedas de energia já vêm sendo relatados no país. Meteorologistas afirmam que o furacão deve efetivamente tocar o solo ao longo do dia e atravessar a ilha diagonalmente.
Até a manhã desta terça-feira, foram registradas as mortes de sete pessoas no Caribe devido a efeitos do Melissa, sendo três delas na própria Jamaica, três no Haiti e uma na República Dominicana, onde uma pessoa segue desaparecida.
Baixa infraestrutura
O Centro Nacional de Furacões (NHC) dos EUA também avalia que ventos “catastróficos” vão atingir a ilha nesta terça-feira, capazes de provocar longos períodos de interrupção de energia e comunicações, além de “extensos danos à infraestrutura”. Estão previstos até um metro de chuva torrencial, com efeitos também esperados em Cuba.
O governo jamaicano também se prepara para danos generalizados. “Não existe infraestrutura na região capaz de resistir a um furacão de categoria 5. A questão agora é a velocidade da recuperação. Esse é o desafio”, disse o primeiro-ministro Andrew Holness.
“Hoje será muito difícil para dezenas de milhares, senão milhões de pessoas na Jamaica”, afirmou Necephor Mghendi, da IFRC. “Telhados serão postos à prova, as águas subirão e o isolamento se tornará uma dura realidade para muitos.”
Segundo ele, mais de 800 abrigos foram montados para evacuar moradores das áreas mais afetadas. “A principal prioridade foi retirar as pessoas do caminho do perigo para reduzir o número de vítimas.”
As esperadas chuvas intensas do Melissa, combinadas com ventos fortes, podem causar uma devastação comparável a furacões históricos, como o Maria em 2017 ou o Katrina em 2005, que deixaram impactos em Porto Rico e na cidade americana de Nova Orleans, respectivamente. Cientistas afirmam que as mudanças climáticas causadas pelo homem têm intensificado esses grandes furacões, aumentando sua frequência.
gq/md (AFP, Reuters, AP)
